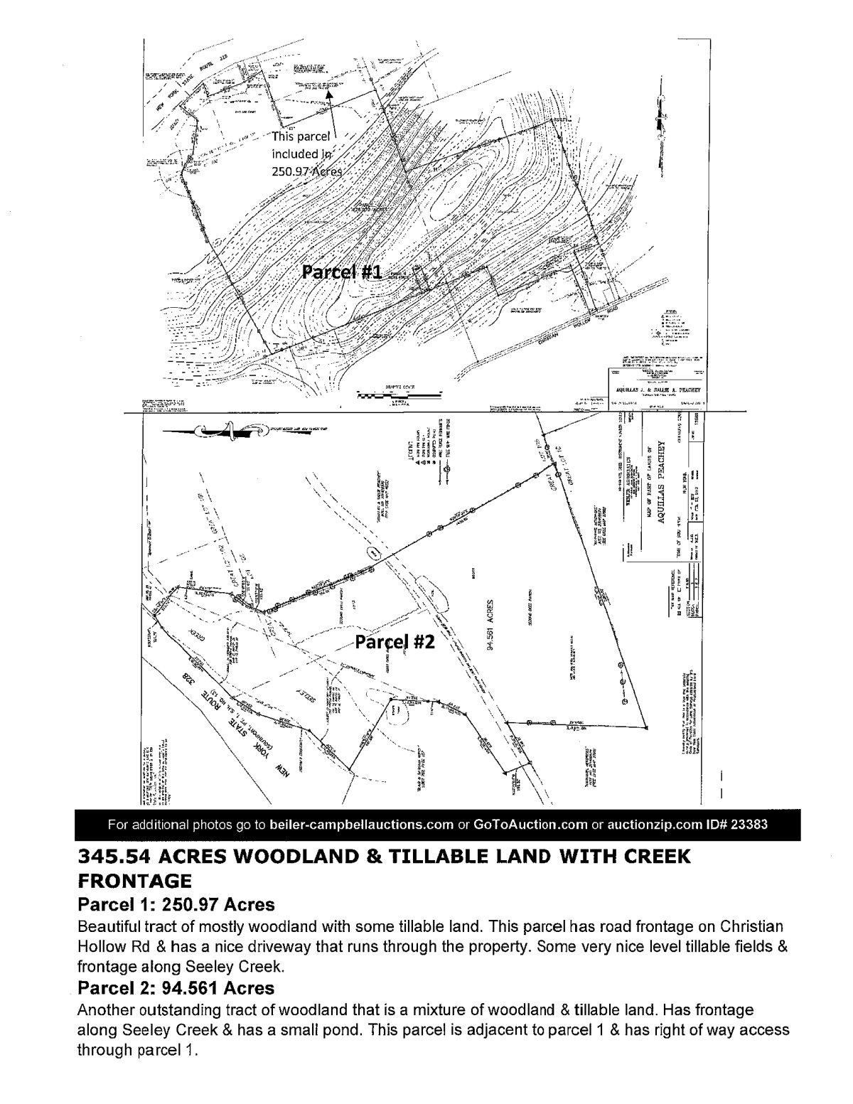
00 Christian Hollow Road, Pine City, NY 14871
Receive email updates and brochure mailings of Bontrager Auctions being held in your area.
ALL RIGHTS RESERVED | Web Services Blue River Digital